00166 - Baugrundstück Seenähe und Golfplatz-direkt vom Eigentümer-ohne Makler Gebühren
Exposé: 00166 - Baugrundstück Seenähe und Golfplatz-direkt vom Eigentümer-ohne Makler Gebühren
Strasse:
PLZ /Ort:
Kaufpreis
Grundstücksfläche
Flächen
Grundstücksfläche:
1.013,00 m²
Preise
Kaufpreis:
1.500,00 €
Sonstiges
Ihre Objektnr.:
00166
Energiepass
Ausstattung
Objektbeschreibung
Werde der stolze Besitzer eines Stückes Amerika
"Buy Land, they're not making it anymore" - Mark Twain"
GRUNDSTÜCKE ZU TIEFST-PREISEN DIREKT VOM EIGENTÜMER
Grundstück Seenähe und Golfplatz-direkt vom Eigentümer-ohne Makler Gebühren-Eigentümer Finanzierung
3 Minuten zum North See
10 Minuten zum Crown See & Diamond See
6 Minuten zum Stadt-Zentrum
6 Minuten zum Golfclub.
Adresse:
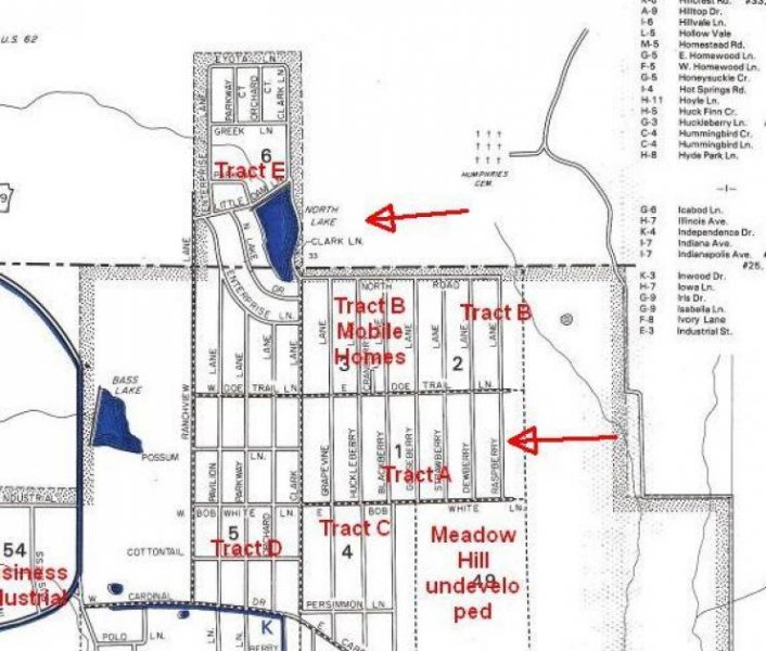
1408 BLACKBERRY LN Lot 26 Block 5, 0.25 acres-1013.88m2
GRUNDBUCH:#800-00166-00
Stadtteil: TRACT A Addition, Horseshoe Bend Arkansas
Ein Ort, den Sie Ihr Zuhause nennen und den Sie an Ihre Kinder weitergeben können?
Umgeben von unbefestigten Straßen und wenigen Nachbarn werden Sie sich abseits von Bürgersteigen, Sirenen und Straßenlaternen im Großstadtdschungel in der Stadt wohl fühlen.
Nur 2 Minuten von North Lake und Ben's Creek entfernt, können Sie und Ihre Lieben schwimmen, Kanu, Kajak, Tube fahren und mehr gehen.
*Wenn Sie Wanderer sind? Reisender? Es gibt viele schöne Städte zu besuchen. Sowie Wanderungen rund um Horseshoe Bend, die nur eine kurze 30- bis 60-minütige Fahrt erreichen.
*Sie möchten Horseshoe Bend zu Pferd sehen? Haben Sie Spaß mit den Kindern? Auf ein romantisches Date gehen? Steigen Sie auf ein Pferd und genießen Sie die Aussicht in Arkansas bei Summits Valley Shire und Sport Horses.
URKUNDLICH BEGLAUBIGTER ZUGANG - SIE ERHALTEN EINEN GARANTIERTEN GRUNDBRIEF ( LIMITED WARRANTY DEED ) registriert im Grundbuchamt der zuständigen Gemeinde.
JÄHRLICHE GRUNDSTEUER: +/- $87.74 pro Grundstück
inklusive See und Park Unterhaltskosten.
Es entstehen keine Eigentümer Gemeinschaftsgebühren für dieses Grundstück.
HARTHÖLZER - die meisten Grundstücke , die wir in Horseshoe Bend verkaufen, sind mit Harthölzern bedeckt - schöne Eichen, Ahornholz, Hickory und Hartriegel-Bäume.
Wir versichern Ihnen, dass wir den Erwerb Ihres Grundstückes in den USA, schnell und zuverlässig abwickeln werden. Egal, ob Sie es für Ihren Ruhestand, als Geschenk an Ihre Kinder oder als Kapitalanlage kaufen, Land ist eine gute Investition.
KEIN BAUZWANG - es gibt KEIN Zeitlimit. Sie können das Grundstück in seinem natürlichen Zustand belassen, bis Sie bereit sind zu bauen oder zu verkaufen. Sie können das Grundstück jederzeit wieder verkaufen.
Grundstück
Dieses vorliegende Exposé gehört zur Listeseite . Unter sind weitere relevante Immobilien vorhanden.
Der Anbieter Land in America LLC Ansprechpartner Martin Maier, 16630 SW SANDSTONE CT in 97007 Beaverton inserierte oben stehendes Objekt.
Synonyme zur Suche Grundstück:
Grundstück Gemarkung, Grundstücke, Grundstücksangebote










