Wohn- und Geschäftshaus, sehr gutes Renditeobjekt
Exposé: Wohn- und Geschäftshaus, sehr gutes Renditeobjekt
PLZ /Ort:
Kaufpreis
Grundstücksfläche
Flächen
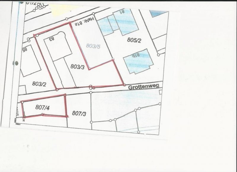
Grundstücksfläche:
1.231,00 m²
Preise
Kaufpreis:
670.000,00 €
Vermittl.-Provision:
3,57 % incl. MwSt.
Sonstiges
Ihre Objektnr.:
E1K039
Energiepass
Ausstattung
Objektbeschreibung
Gewerbe mit Nebenräume, Wohnungen insgesamt ca. 600m² Das Gebäude, das nicht unter Denkmalschutz steht kann jederzeit baulich verändert werden. Eine schöne Terrasse und ein kleiner Biergarten runden das Gastgewerbe ab.
Lage
Peißenberg mitten im Landkreis Weilheim-Schongau liegend ist ein Markt mit vielen unterschiedlichen handwerklichen Gewerbebetrieben,Einzelhandel, Ärzte, Apotheken, Krankenhaus, Grund-, Haupt- und Realschulen. Der hohe Freizeitwert in Peißenberg mit ca. 12.600 Einwohner bietet Sommer wie Winter viele Möglichkeiten der persönlichen Gestaltung. Ein reges Vereinsleben findet in Kultur, Tradition und Sport für alle Altersgruppen statt. Nach München brauchen Sie mit dem Zug ca. 50 Min. mit dem Auto dauert es genauso lang. In die Alpen fahren Sie ca. 40 Min.
Ausstattung
Der Altbestand ist noch auf 3 Jahre fest vermietet und bringt im Jahr EUR 50.000 netto, das entspricht zum KP ca. 7% Rendite. In der heutigen Zeit eine Freude, damit lässt sich gut und gern eine Finanzierung unterstützen. Bitte beachten Sie den Hinweis dazu.
Im Altbau sind zwei gastronomische Betriebe,und zwei Wohnungen vermietet. Die Dachfläche ist an O2 vermietet. Es bestehen keine Mietrückstände.
Grundstück Peißenberg
HomeBooster hat dieses Objekt zum mieten und kaufen unter Peißenberg eingetragen. Die Angeben des Anbieters lauten bella casa immobilien Ansprechpartner , Ringstrasse 64b in 82386 Huglfing.
Bayern ist die geografische Zuordnung dieses Objektes zum mieten und kaufen.
Synonyme zur Suche Peißenberg Grundstück:
Peißenberg Grundstück Gemarkung, Grundstücke Peißenberg, Grundstücksangebote Peißenberg









