Provisionsfrei - Ihr Gewerbeschnäppchen
Exposé: Provisionsfrei - Ihr Gewerbeschnäppchen
PLZ /Ort:
Kaufpreis
Gesamtfläche
Flächen
Nutzfläche:
217,00 m²
Grundstücksfläche:
1.609,00 m²
Preise
Kaufpreis:
199.500,00 €
Vermittl.-Provision:
keine Käuferprov.
Sonstiges
Ihre Objektnr.:
1642
Heizungsart:
Zentralheizung
Befeuerung:
Gas
Baujahr:
1984
Energiepass
Stromwert:
114
Wärmewert:
242
Ausstellungsdatum:
2014-8-13
Ausstattung
Objektbeschreibung
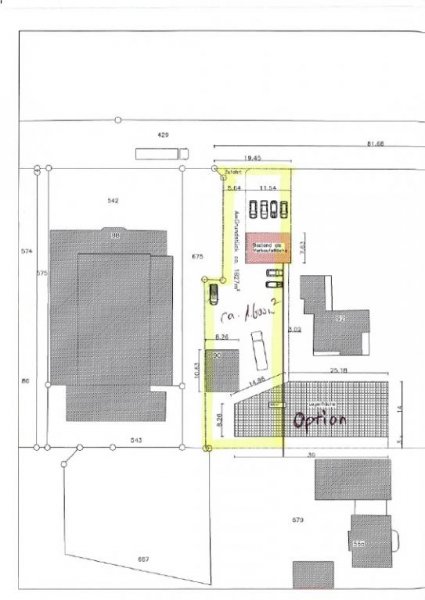
In diesem Objekt im Gewerbegebiet in Kaunitz lassen sich ausgezeichnet Gewerbe und Arbeiten und untergeordnet Wohnen miteinander verbinden. Das Bürohaus wurde 1994 gebaut.
Auf ca. 1.609 m² Grundstücksfläche (evtl. erweiterbar in Richtung Westen um ca. 360 m²) befindet sich im vorderen Bereich eine Lagerhalle mit ca. 100 m² Nutzfläche aus dem Jahre 1984 und im hinteren Bereich ein Wohn- / Bürohaus mit ca. 117 m² Wohn- / Nutzfläche.
Lage
Die Immobilie liegt zwischen den Städten Gütersloh, Bielefeld und Paderborn in Verl- Kaunitz. Die Stadt Verl verfügt über eine gute Verkehrsanbindung zur A2 und zur A33. Verl ist eine wachsende Stadt mit Kindergärten, einem Schulzentrum mit allen Schulformen und diversen Einkaufsmöglichkeiten. Das Haus liegt in einem Gewerbegebiet mit 1 bis 3- geschossiger Bebauung, ca. 1 km vom Ortskern Kaunitz und ca. 5 km vom Stadtzentrum Verl entfernt.
Verl zeichnet sich durch eine sehr bürger- und gewerbefreundliche Verwaltung mit niedrigen Hebesätzen für Grund- und Gewerbesteuern aus.
Ausstattung
Das Gebäude ist verputzt und gedämmt. Im EG ist eine Fußbodenheizung vorhanden und im DG wurden Radiatoren eingebaut. Das Bürohaus ist nicht unterkellert.
Im Erdgeschoss liegt ein großzügiger Büroraum. Im EG ist ebenfalls eine Einbauküche (im Preis enthalten), eine Diele mit Garderobe, ein WC sowie ein Abstellraum vorhanden.
Im Dachgeschoss befinden sich 2 Zimmer und ein Bad mit Wanne und Dusche sowie ein Abstellraum in dem auch die Gasheizung mit Warmwasserboiler untergebracht ist.
Sonstige Angaben
Baujahr: 1994
Baujahr: 1984
Energiekennwert Wärme: 242 kWh/(m²*a)
Energiekennwert Strom: 114 kWh/(m²*a)
Energie mit Warmwasser: Ja
Energiekennwert: 242 kWh/(m²*a)
Befeuerung/Energieträger: Erdgas leicht
Energieausweistyp: Verbrauchsausweis
Heizungsart: Gas-Heizung
Gerne helfen wir Ihnen auch bei der Beschaffung von günstigen Finanzierungsmitteln. Die Zinsen sind z.Zt. äußerst günstig. Nutzen Sie jetzt Ihre Chance!
Besichtigungswünsche stimmen wir gerne telefonisch mit Ihnen ab. Ein Exposé erhalten Sie per E-Mail oder auf dem Postweg.
Gegenüber dem Eigentümer sind wir zum Nachweis der Kaufinteressenten verpflichtet. Geben Sie uns in Ihrer Anfrage daher bitte Ihre vollständige Adresse, Telefonnummer und E-Mailadresse bekannt. Vielen Dank im Voraus.
Gewerbe Immobilien Verl
Weitere Inserate zum mieten und kaufen finden sich unter Verl. Nordrhein-Westfalen ist die geografische Zuordnung dieses Objektes zum mieten und kaufen.
Weitere Immobilien zum mieten und kaufen kommen von Diekmannshenke ImmoProjekt GmbH Ansprechpartner Anja Diekmannshenke, Herzebrocker Straße 39 in 33330 Gütersloh.
Synonyme zur Suche Verl Gewerbe Immobilien:
Verl Immobilien für Unternehmen, Gewerbeimmobilien mieten Verl, Industrie Immobilien Verl










