Kleines Baugrundstück + Neubau-Haus
Exposé: Kleines Baugrundstück + Neubau-Haus
PLZ /Ort:
Kaufpreis
Grundstücksfläche
Flächen
Grundstücksfläche:
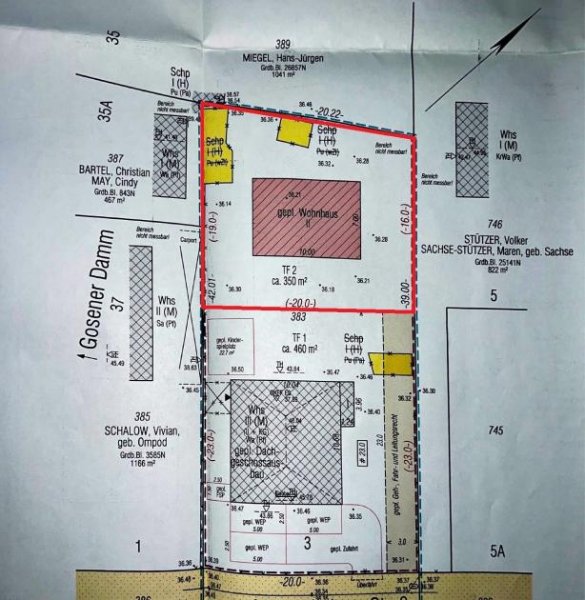
350,00 m²
Preise
Kaufpreis:
600.000,00 €
Vermittl.-Provision:
3,57% inkl. MwSt
Sonstiges
Ihre Objektnr.:
ID5070
Energiepass
Ausstattung
Objektbeschreibung
Zum Verkauf steht ein kleines Baugrundstück in zweiter Reihe + Neubau-Haus.
Es liegt ein Bauvorbescheid für ein Einfamilienhaus mit folgender Planung: Rechteckiger Baukörper mit 2 Etagen (je ca. 70 m²) und Satteldach.
Holzhaus, Modulhaus oder Massivbau - Sie entscheiden selbst. Ein Hausprojekt wird direkt mit dem Bauträger abgestimmt.
Lage
Dieses Grundstück befindet sich in ruhiger, familienfreundlicher Wohnlage im idyllischen Ortsteil Berlin-Müggelheim - eingebettet in grüne Wälder, Seenlandschaft und eine gewachsene Nachbarschaft. Die Straße ist eine gepflegte Anliegerstraße mit Tempo-30-Zone - ideal für entspanntes Wohnen in naturnaher Umgebung.
Gute Anbindung an den öffentlichen Nahverkehr: Die Buslinien 169, 369 und N69 sind fußläufig erreichbar (Haltestellen Alt-Müggelheim oder Annweiler Weg).
Anschluss an das S-Bahnnetz (S3) über Wilhelmshagen oder Köpenick.
Fährverbindungen (F23, F24) über die nahegelegenen Gewässer ermöglichen alternative Verbindungen in die umliegenden Ortsteile.
Für Autofahrer: Schnelle Erreichbarkeit der B1/B5 sowie des Flughafens BER in ca. 20-25 Minuten.
Sonstige Angaben
Auf dem vorderen Grundstück (1.Reihe) steht ein kleines MFH.
Grundstück Berlin
Weitere Inserate zum mieten und kaufen finden sich unter Berlin. Berlin ist die geografische Zuordnung dieses Objektes zum mieten und kaufen.
Die Angeben des Anbieters lauten IBA Real Estate Ansprechpartner Valerij Gerber, Maarer Straße 76 in 13435 Berlin.
Synonyme zur Suche Berlin Grundstück:
Berlin Grundstück Gemarkung, Grundstücke Berlin, Grundstücksangebote Berlin










