Grundstück
Exposé: Grundstück
PLZ /Ort:
Kaufpreis
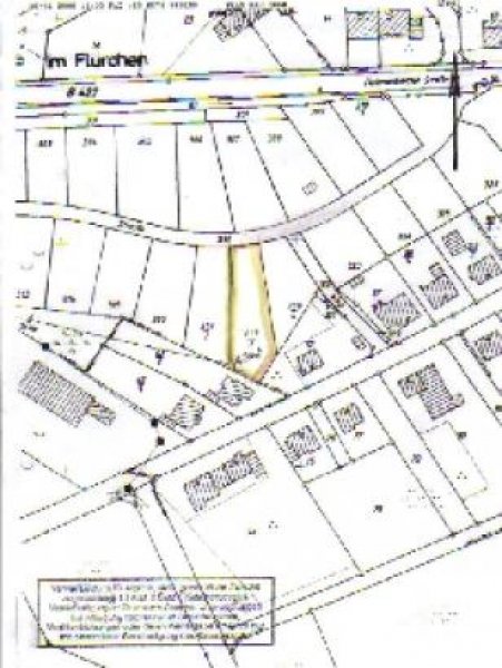
Grundstücksfläche
Flächen
Wohnfläche:
900,00 m²
Grundstücksfläche:
900,00 m²
Preise
Kaufpreis:
44.000,00 €
Vermittl.-Provision:
3,57 % vom Kaufpreis
Sonstiges
Energiepass
Ausstattung
Objektbeschreibung
Hier haben auf dem Grundstück ein EFH projektiert. Für den Komplettpreis mit Grundstück und Schlüsselfertigem Haus bekommen Sie für 304.500 Euro Nähere Details erhalten Sie von Frau Gehrke unter 0651 - 4638625 immobiliengehrke@yahoo.de... ...
Grundstück Eisenach (Eifelkreis Bitburg-Prüm)
Die Verlinkung dieses Exposé's ist unter Eisenach (Eifelkreis Bitburg-Prüm) inseriert. Die Angeben des Anbieters lauten IMMOBILIEN AACH Ansprechpartner Edina Gehrke, Brunnenstrasse in 54298 Aach. Das Bundesland dieses Onlineinserats ist Rheinland-Pfalz.
Synonyme zur Suche Eisenach (Eifelkreis Bitburg-Prüm) Grundstück:
Eisenach (Eifelkreis Bitburg-Prüm) Grundstück Gemarkung, Grundstücke Eisenach (Eifelkreis Bitburg-Prüm), Grundstücksangebote Eisenach (Eifelkreis Bitburg-Prüm)



