Freizeitgrundstück / Gartengrundstück in sonniger Lage in Rohracker / Hedelfingen zu verkaufen.
Exposé: Freizeitgrundstück / Gartengrundstück in sonniger Lage in Rohracker / Hedelfingen zu verkaufen.
PLZ /Ort:
Kaufpreis
Grundstücksfläche
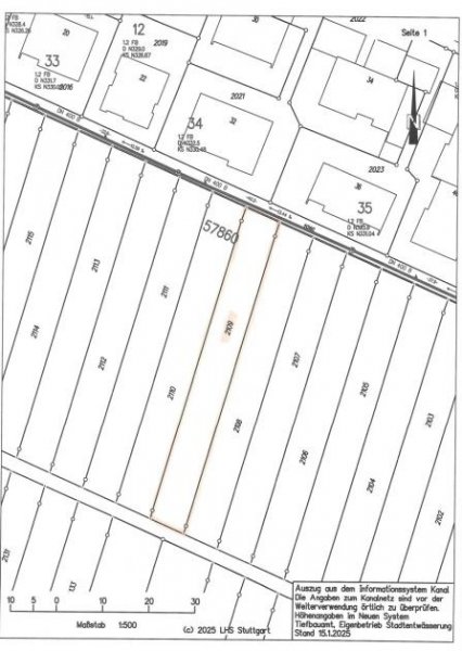
Flächen
Grundstücksfläche:
560,00 m²
Preise
Kaufpreis:
15.000,00 €
Vermittl.-Provision:
2.380,00 € inkl. MWST
Sonstiges
Ihre Objektnr.:
KB0046_STG
Energiepass
Ausstattung
Objektbeschreibung
Um Ihnen schnellstmöglich Informationen bereitstellen zu können, erfolgt der Exposéversand automatisiert. Bitte beachten Sie, dass wir daher individuelle Fragen in Ihrer Anfragen nicht berücksichtigen können. Wir beantworten diese aber gerne im Nachgang bei einem Telefonat oder einem persönlichen Termin.
------------------------------------------------------------------------------------------------------------------------------------------
Zum Verkauf kommt ein Gartengrundstück. Das Grundstück befindet sich im Gartenhausgebiet zwischen Hedelfingen (Rohracker) und Sillenbuch. Es befindet sich in leichter Hanglage.
Das Grundstück ist von beiden Seiten aus mit dem Auto anzufahren.
Es ist kein Strom - und Wasseranschluss vorhanden.
Sonstige Angaben
Sie können sich das Grundstück gern von außen (ohne Betreten des Grundstückes) ohne uns anschauen. Wenn Sie weitere Fragen zu dem Grundstück haben, dann beantworten wir Ihnen gern Ihre Fragen.
Hinweis:
Vom Eigentümer wird noch ein weiteres Gartengrundstück ganz in der Nähe verkauft. Dieses finden Sie ebenfalls auf Immoscout.
Grundstück Stuttgart
Dieses Immobilien-Exposé wird geführt unter Stuttgart. Baden-Württemberg ist hier die Oberkategorie dieses Immobilienexposé's.
Die Angeben des Anbieters lauten Oesterle Immobilien GmbH Ansprechpartner Kai Oesterle, Wilhelmstraße 1 in 88299 Leutkirch.
Synonyme zur Suche Stuttgart Grundstück:
Stuttgart Grundstück Gemarkung, Grundstücke Stuttgart, Grundstücksangebote Stuttgart






