Bauluecke in Doerentrup/Hillentrup
Exposé: Bauluecke in Doerentrup/Hillentrup
PLZ /Ort:
Kaufpreis
Grundstücksfläche
Flächen
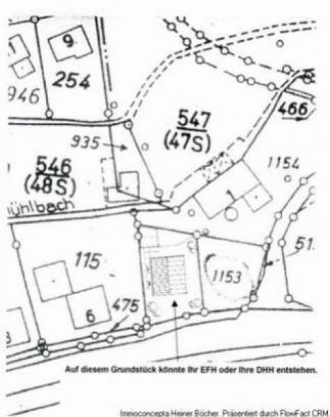
Grundstücksfläche:
600,00 m²
Preise
Kaufpreis:
48.000,00 €
Vermittl.-Provision:
3,57%
Sonstiges
Ihre Objektnr.:
DÖK132
Energiepass
Ausstattung
Objektbeschreibung
Baugrundstück, vermessen und erschlossen! Umgeben von einer reizvollen Landschaft mit Naturschutzgebieten. Das Grundstück hat eine leichte Südhanglage und grenzt an den Mühlenbach. Die Lage ist für eine gute Infrastruktur bekannt, vor Ort sind gute Einkaufsmöglichkeiten, Handwerksbetriebe, Banken, Post, Kindergarten, Schule. Es gibt eine gute Verbindung nach Lemgo (7 km) und die sonstige Umgebung.
Grundstück Dörentrup
Das Immobilieninserat gehört zur Kategorie Dörentrup. Am Anfang suchen User zuerst auf der Seite Nordrhein-Westfalen.
Der Anbieter Immoconcepta Ansprechpartner Heiner Böcher, Osterstr. 37 in 32105 Bad Salzuflen Bad Salzuflen inserierte oben stehendes Objekt.
Synonyme zur Suche Dörentrup Grundstück:
Dörentrup Grundstück Gemarkung, Grundstücke Dörentrup, Grundstücksangebote Dörentrup


