8256 m² Baugrund in Seenähe für sofortige Bebauung
Exposé: 8256 m² Baugrund in Seenähe für sofortige Bebauung
PLZ /Ort:
Kaufpreis
Grundstücksfläche
Flächen
Grundstücksfläche:
8.256,00 m²
Preise
Kaufpreis:
150.000,00 €
Sonstiges
Ihre Objektnr.:
Estate.140
Energiepass
Ausstattung
Objektbeschreibung
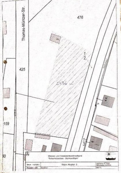
Kolpin ist eine Gemeinde im Landkreis Oder-Spree des Landes Brandenburg. Sie liegt an der Landesstraße L 412 zwischen Storkow (Mark) und Bad Saarow. Die Lage des Grundstück ist als ruhig zu bezeichnen. Die Adresse lautet: Hauptstraße 3, 15526 Reichenwalde-Kolpin.
Ausstattung
Baufläche beträgt 2.436 m². Das Grundstück ist bebaubar mit einem oder mehreren Gebäuden für private und/oder gewerbliche Nutzung. Gesamtfläche des Grundstücks beträgt 8.256 m². Das Grundstück ist komplett erschlossen und ist für eine kurzfristige Bebauung geeignet.
Entfernung zum Flughafen Schönefeld: ca. 50 km
Entfernung bis Zentrum Berlins: 60 km
Großer Kolpiner See, bekannt für die gute Wasserqualität, ist innerhalb von 5 Minuten zu Fuß erreichbar.
In nächster Nähe befinden sich Scharmützel- und Storkowsee sowie Thermalbad und Golfplatz Sporting Club Berlin-Storkow.
Tropical Island befindet sich in ca. 50 km Entfernung.
Grundstück Reichenwalde
Dieses vorliegende Exposé gehört zur Listeseite Reichenwalde. Die Angeben des Anbieters lauten Winkelmann Immobilien Ansprechpartner Bernd Winkelmann, Klosterstraße 2 in 08523 Plauen.
Brandenburg ist die geografische Zuordnung dieses Objektes zum mieten und kaufen.
Synonyme zur Suche Reichenwalde Grundstück:
Reichenwalde Grundstück Gemarkung, Grundstücke Reichenwalde, Grundstücksangebote Reichenwalde







