00207-unter $1000-vom Eigentümer-Grundstück-0.25 acres-1018m2-Seenähe-Golf-Stadtrand
Exposé: 00207-unter $1000-vom Eigentümer-Grundstück-0.25 acres-1018m2-Seenähe-Golf-Stadtrand
Strasse:
PLZ /Ort:
Kaufpreis
Grundstücksfläche
Flächen
Grundstücksfläche:
1.017,00 m²
Preise
Kaufpreis:
990,00 €
Vermittl.-Provision:
keine
Sonstiges
Ihre Objektnr.:
00207
Altlasten:
KEINE
Energiepass
Ausstattung
Objektbeschreibung
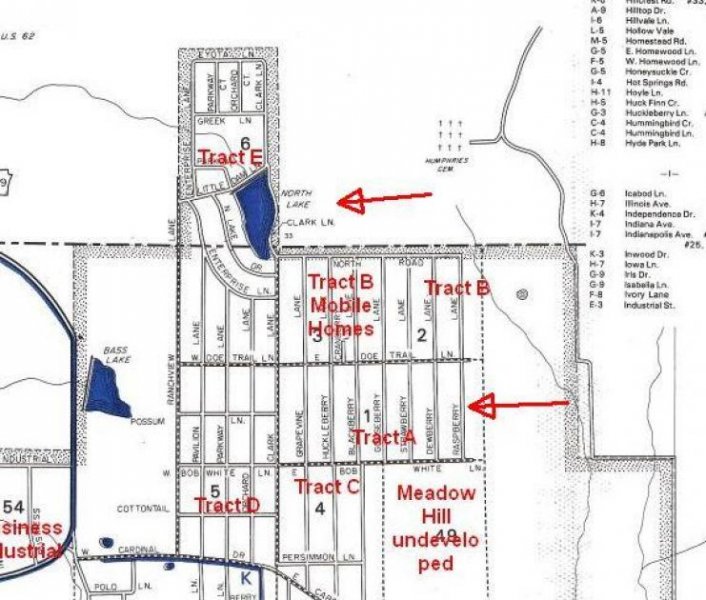
unbebautes Baugrundstück innerhalb der Stadtgrenzen der idyllischen Kleinstadt Horseshoe Bend Arkansas in den wunderschönen Ozark Mountains. Das Grundstück ist bebaubar und befindet sich im Bezirk TRACT A Addition Horseshoe Bend, Arkansas
Adresse: 1406 HUCKLEBERRY L, Lot 27 Block 6, Horseshoe Bend, AR 72512
Bezirk: TRACT A Addition,
Grundbuch Nr.: 800-00207-000
Erlaubte Bebauung: Familienhaus, Blockhaus , Fertighaus etc.
Anschlüsse: Wasser und Elektrizität im Bezirk
Kanalisation: durch zugelassenes Abwassersystem.
• JÄHRLICHE STEUERN: $13.00 bezahlt bis 15. Oktober 2022
Eigentumsübertragung, Die Kosten, wie Notar, Steuern, Stempelmarken, Umschreibung und Portokosten, wenn nicht anders vereinbart, sind im Kaufpreis inbegriffen.
Grundstück
Dieses vorliegende Exposé gehört zur Listeseite . Unter sind weitere relevante Immobilien vorhanden.
Der Anbieter Land in America LLC Ansprechpartner Martin Maier, 16630 SW SANDSTONE CT in 97007 Beaverton inserierte oben stehendes Objekt.
Synonyme zur Suche Grundstück:
Grundstück Gemarkung, Grundstücke, Grundstücksangebote










