00204-Baugrundstücke unter $1000-Landinvestoren Großhändler-direkt vom Eigentümer-Grundstück-1017m2-Seenähe-Golf-Stadtrand
Exposé: 00204-Baugrundstücke unter $1000-Landinvestoren Großhändler-direkt vom Eigentümer-Grundstück-1017m2-Seenähe-Golf-Stadtrand
Strasse:
PLZ /Ort:
Kaufpreis
Grundstücksfläche
Flächen
Grundstücksfläche:
1.017,00 m²
Preise
Kaufpreis:
990,00 €
Vermittl.-Provision:
keine
Sonstiges
Ihre Objektnr.:
00204
Altlasten:
KEINE
Energiepass
Ausstattung
Objektbeschreibung
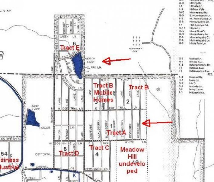
unbebautes Baugrundstück innerhalb der Stadtgrenzen der idyllischen Kleinstadt Horseshoe Bend Arkansas in den wunderschönen Ozark Mountains. Das Grundstück ist bebaubar und befindet sich im Bezirk TRACT A Addition Horseshoe Bend, Arkansas
Adresse: 1412 HUCKLEBERRY L, Lot 24 Block 6, Horseshoe Bend, AR 72512
Bezirk: TRACT A Addition,
• Grundbuch Nr.: 800-00204-000
Erlaubte Bebauung: Familienhaus, Blockhaus , Fertighaus etc.
Anschlüsse: Wasser und Elektrizität im Bezirk
Kanalisation: durch zugelassenes Abwassersystem.
• JÄHRLICHE STEUERN: $13.00 bezahlt bis 15. Oktober 2022
Eigentumsübertragung, Die Kosten, wie Notar, Steuern, Stempelmarken, Umschreibung und Portokosten, wenn nicht anders vereinbart, sind im Kaufpreis inbegriffen.
AUF WUNSCH EIGENTÜMER FINANZIERUNG:
$99.00 Anzahlung, Restzahlung monatliche Raten a $100.00
Ohne Zinsen, KEINE Bonitätsprüfung.
Grundstück
Dieses vorliegende Exposé gehört zur Listeseite . Unter sind weitere relevante Immobilien vorhanden.
Der Anbieter Land in America LLC Ansprechpartner Martin Maier, 16630 SW SANDSTONE CT in 97007 Beaverton inserierte oben stehendes Objekt.
Synonyme zur Suche Grundstück:
Grundstück Gemarkung, Grundstücke, Grundstücksangebote










